Skip To Content

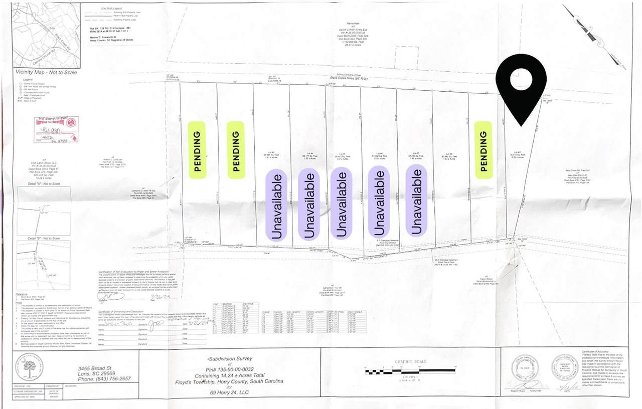
LOT 10 Black Creek Rd.

Nichols, SC 29581
  • $16,500
  • STATUS: Closed
  • ON SITE: 354 Days
  • MLS #: 2426885
Sold - 12/12/2024
$16,500
SOLD - 12/12/2024
  • 0
    BEDS
  • 0.82
    ACRES
  • 0
    BATHS
  • 0
    1/2 BATHS
Neighborhood:
Type:
Vacant Land / Lots
County:

School Information

Middle School:

Description

Discover the perfect canvas for your dream home with this .82 acre lot located in the town of Nichols, SC. Just a short 38-minute drive to the stunning coastline and only 30 minutes from the vibrant heart of downtown Conway with its rich history, unique shops, and delightful dining. This property offers the ideal blend of tranquility and convenience. This lot is spacious enough to accommodate your vision whether you dream of a cozy cottage or craftsman masterpiece. Surrounded by nature, you'll have ample room for a garden, outdoor entertaining or simply relaxing in your private oasis. The property is partially cleared, providing a way to envision you dream easier while preserving the natural beauty of the landscape. A Perc Test has been completed and passed for a standard system, ensuring a smooth and hassle-free building process. This lot provides endless possibility to bring your vision to life. Don't miss this incredible opportunity to build the home you've always wanted in a location that offers the best of both worlds peaceful living with easy access to the ocean and amenities. Contact us today to make this dream a reality!

Monthly Payment Calculator



Coastal Carolina Association of Realtors logo© 2025 Coastal Carolinas Association of REALTORS® MLS. All rights reserved. IDX information is provided exclusively for consumers' personal, non-commercial use and may not be used for any purpose other than to identify prospective properties consumers may be interested in purchasing. Information is deemed reliable but is not guaranteed accurate by the MLS or James W. Smith Real Estate Co.. The data relating to real estate for sale or lease on this web site comes in part from CCAR. Real estate listings held by brokerage firms other than James W. Smith Real Estate Co. are marked with the CCAR logo or an abbreviated logo and detailed information about them includes the name of the listing broker. Data last updated: 2025-11-12T21:20:49.533.
www.jameswsmithrealestate.com/homes/158191554
Print Image

LOT 10 Black Creek Rd. Nichols, SC 29581

  • Price: $18,000
  • Status: Closed
  • On Site: 354 Days
  • Updated: 21 min ago
  • MLS #: 2426885
0
Beds
0
Baths
0
½ Baths
0.82
Acres
Neighborhood:
Not within a Subdivision
County:
Horry
Area:
05A Loris Area--West of Loris & South of HWY 9
Elementary School:
Green Sea Floyds Elementary Scho
Middle School:
Greensea Floyds
High School:
Green Sea Floyds High School
Property Description
Discover the perfect canvas for your dream home with this .82 acre lot located in the town of Nichols, SC. Just a short 38-minute drive to the stunning coastline and only 30 minutes from the vibrant heart of downtown Conway with its rich history, unique shops, and delightful dining. This property offers the ideal blend of tranquility and convenience. This lot is spacious enough to accommodate your vision whether you dream of a cozy cottage or craftsman masterpiece. Surrounded by nature, you'll have ample room for a garden, outdoor entertaining or simply relaxing in your private oasis. The property is partially cleared, providing a way to envision you dream easier while preserving the natural beauty of the landscape. A Perc Test has been completed and passed for a standard system, ensuring a smooth and hassle-free building process. This lot provides endless possibility to bring your vision to life. Don't miss this incredible opportunity to build the home you've always wanted in a location that offers the best of both worlds peaceful living with easy access to the ocean and amenities. Contact us today to make this dream a reality!
Exterior Features

Lot Features Irregular Lot Acreage Mobile Home Allowed Road Frontage Type County Road Road Surface Type Asphalt

Property Features

Association Amenities Owner Allowed Golf Cart Owner Allowed Motorcycle Pet Restrictions Tenant Allowed Golf Cart Tenant Allowed Motorcycle Association Fee 0 Association Fee Frequency Monthly Association YN No Community Features Golf Carts OK Long Term Rental Allowed Documents Available Aerial Legal Description Plat Survey Lease Considered YN No Listing Terms Cash Conventional Pets Allowed Owner Only Yes Property Sub Type Acreage Property Sub Type Additional Acreage Special Listing Conditions None Utilities Electricity Available Zoning FA

Coastal Carolina Association of Realtors logo Listing information © 2025 Coastal Carolinas Association of REALTORS® MLS. Listing provided by eXp Realty LLC:Cell: 843-324-0562.


Coastal Carolina Association of Realtors logo© 2025 Coastal Carolinas Association of REALTORS® MLS. All rights reserved. IDX information is provided exclusively for consumers' personal, non-commercial use and may not be used for any purpose other than to identify prospective properties consumers may be interested in purchasing. Information is deemed reliable but is not guaranteed accurate by the MLS or James W. Smith Real Estate Co.. The data relating to real estate for sale or lease on this web site comes in part from CCAR. Real estate listings held by brokerage firms other than James W. Smith Real Estate Co. are marked with the CCAR logo or an abbreviated logo and detailed information about them includes the name of the listing broker. Data last updated: 2025-11-12T21:20:49.533.
 
https://bt-photos.global.ssl.fastly.net/ccar/1280_boomver_1_2426885-2.jpg https://bt-photos.global.ssl.fastly.net/ccar/1280_boomver_1_2426885-2.jpg https://bt-photos.global.ssl.fastly.net/ccar/1280_boomver_1_2426885-2.jpg
Logo
James W. Smith Real Estate Co.
13336 Ocean Hwy
Pawleys Island SC, 29585